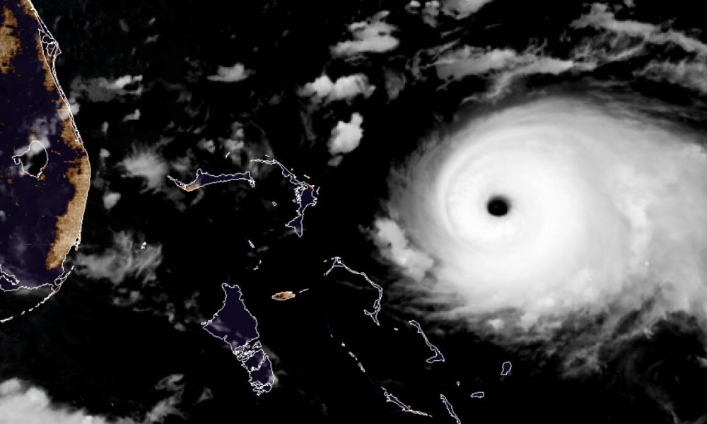
CANCÚN, Quintana Roo, 2 de septiembre.- Nueve vuelos, cuatro llegadas y cinco salidas, fueron cancelados en el Aeropuerto Internacional de Cancún hoy, debido a la presencia del huracán “Dorian”, que se acerca a las costas de Florida, Estados Unidos.
Las salidas eran el vuelo Jet Blue 1796 Cancún – Fort Lauderdale; el 948 Cancún – Dallas; el 710 Cancún – Fort Lauderdale de Spirit Airlines; el 2996 de Jet Blue que también va a Fort Lauderdale y el 1608 que va hacia Baltimore y que pertenece a Southwest Airlines.
Mientras que los vuelos que debían arribar eran el 705 de Spirit Airlines proveniente de Fort Lauderdale; el 893 de la misma compañía proveniente de Dallas, Texas; el Jet Blue 2695 con ruta Fort Lauderdale – Cancún y el Southwest 5362 proveniente del mismo destino.
Por el momento ningún otro vuelo de las 391 operaciones planeadas para hoy en el Aeropuerto Internacional de Cancún ha sido cancelado o pospuesto.
Cabe recordar que se espera que el huracán “Dorian” se acerque durante la noche a las costas de la Florida y sus efectos se sientan incluso hasta por 72 horas más en la zona; mientras que para la entidad se esperan lluvias intermitentes, por lo que si planea viajar se recomienda estar al pendiente de los anuncios que se hagan al respecto.

Los comentarios están cerrados.