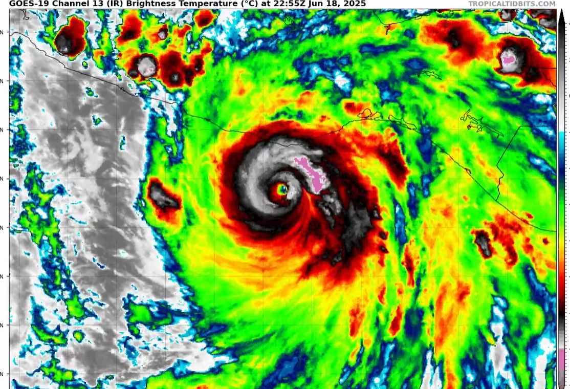
CIUDAD DE MÉXICO.- La tarde de este miércoles ‘Erick‘ se intensificó a un huracán categoría 3 mientras continúa su avance hacia costas de Oaxaca, en los límites con Guerrero.
El meteoro presenta vientos de 205 kilómetros por hora, informó la Comisión Nacional del Agua.
La presidenta de México, Claudia Sheinbaum, llamó la tarde de este miércoles a la población a resguardarse y atender las indicaciones de Protección Civil ante el inminente impacto del huracán Erik, que se prevé toque tierra la madrugada del jueves como categoría 3 en los límites de los estados de Oaxaca y Guerrero.
A través de sus redes sociales, Sheinbaum pidió a quienes habiten en zonas bajas o cerca de ríos acudir de inmediato a los refugios temporales habilitados.
También anunció la suspensión de clases y alertó que tanto el Plan DN-III-E como operativos de la Marina están activos en las zonas de riesgo ubicadas en el sur de México.
De acuerdo con el Servicio Meteorológico Nacional (SMN), Erik se desplaza hacia el noroeste a 15 kilómetros por hora (km/h), con vientos máximos sostenidos de 155 km/h y rachas de hasta 195 km/h.
El ciclón ya provoca lluvias extraordinarias —mayores a 250 milímetros— en Oaxaca, y precipitaciones torrenciales —de hasta 250 milímetros— en Guerrero y Chiapas.
Además de las lluvias, el SMN reporta oleaje de entre 5 y 6 metros de altura en las costas de Oaxaca y Guerrero, y de 4 a 5 metros en Chiapas. Se mantiene activa la zona de prevención por efectos de huracán desde Acapulco hasta Puerto Ángel, así como vigilancia por vientos intensos desde Técpan de Galeana hasta Salina Cruz.
“Se pide a la población permanecer en sus hogares; si vive en zonas bajas y cerca de cauces de ríos, acudir a los refugios dispuestos. Por favor, estén atentos a la información oficial”, escribió Sheinbaum.
Las autoridades de los tres niveles de gobierno intensificaron desde el martes los avisos preventivos, a diferencia de lo ocurrido con el huracán Otis en 2023 y el huracán John en 2024, que dejaron 29 muertos en el sur del país.
Expertos advierten sobre riesgos de deslaves, crecidas de ríos e inundaciones. La temporada de huracanes 2025 podría traer hasta 37 ciclones con nombre, de los cuales cinco tendrían impacto directo en territorio mexicano.
Con información de López-Dóriga Digital y EFE.

Los comentarios están cerrados.