
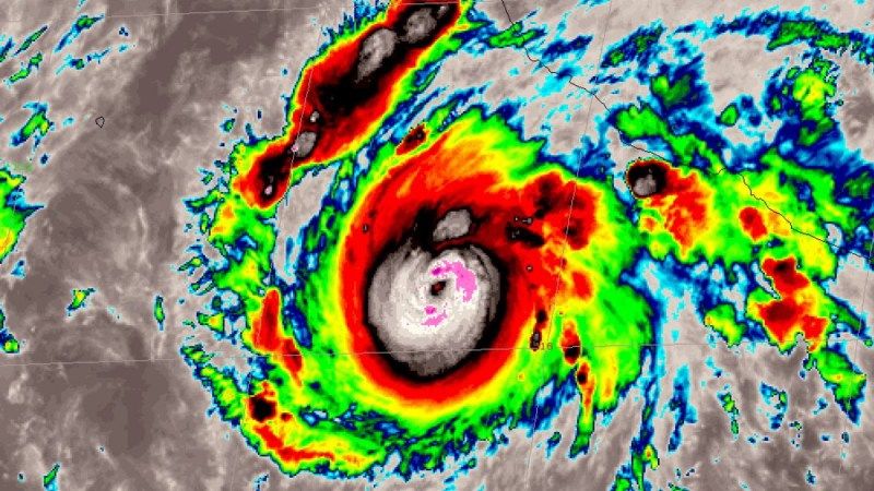
La noche de este viernes Roslyn se intensificó a huracán categoría 1, 290 kilómetros al sur-suroeste de Manzanillo, Colima, y 320 kilómetros al sur de Playa Pérula, Jalisco.
El meteoro presenta vientos máximos sostenidos de 140 kilómetros por hora. Sus bandas nubosas producirán lluvias puntuales intensas en Colima, Michoacán y Guerrero, y muy fuertes en Jalisco, las cuales podrán originar incremento en niveles de ríos y arroyos, deslaves e inundaciones.
Se pronostican vientos con rachas de 60 a 80 kilómetros por hora y oleaje de 3 a 5 metros de altura en costas de Jalisco, Colima y Michoacán, y rachas de 50 a 60 kilómetros por hora con oleaje de 1 a 3 metros de altura en la costa de Guerrero.
Por este fenómeno, se estableció una zona de prevención por efectos de huracán desde Playa Pérula, Jalisco, hasta El Roblito, Nayarit, incluyendo las Islas Marías. Hay zona de de vigilancia por efectos de huracán desde el norte de El Roblito, Nayarit, hasta Mazatlán, Sinaloa, y zona de prevención por efectos de tormenta tropical desde el sur de Playa Pérula, Jalisco, hasta Manzanillo, Colima.
Con información de López-Dóriga Digital
La entrada Roslyn se intensifica a huracán categoría 1 aparece primero en López-Dóriga Digital.

Los comentarios están cerrados.